Forrásvíz-elvezetés a Május 1. út térségében, az Új út és Thury György utcák csapadékvíz elvezető rendszerének rekonstrukciója

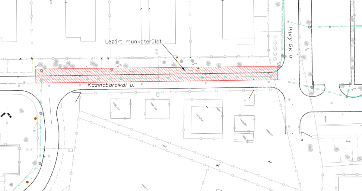
Az Új úti árok rekonstrukciója a megvalósulási forma egyeztetése miatt jelenleg felülvizsgálat alatt áll megrendelői oldalról. A közműfeltárásokat követően megállapíthatóvá vált, hogy az Új úti befogadó ároktól a Május 1. út 43.-45.hsz-ú tömbökig kiépítendő új zárt csapadékcsatornának a Kazincbarcikai utcai szakasza nem építhető meg az eredeti, vízjogi engedély szerinti nyomvonalon.

Az új, módosított nyomvonal szerint a kiépítendő új csapadékcsatorna a Kazincbarcikai utcai szakaszon a (fél)útpálya alá kerül. A csapadékcsatorna kiépítést követően, a kiépítési hosszban a teljes útpálya szerkezet is megújításra kerül aszfaltozással.

A Kazincbarcikai utcai szakasz kivitelezése tervezetten 4 szakaszban (max. 40 m/szakasz) történik félpályás lezárás mellett. Tervezett kivitelezési időszak: 2025.12.01. – 2026.01.31.

Továbbra is kérjük a lakók megértését és türelmét a kivitelezési időszakra!

Építésvezető: Fehér István, (Tsz: 30/572- 4021)  kereshető munkanapokon 7:00 – 16:00 óráig.

Tájékoztató Kazincbarcikai u