Hirdetmények, tájékoztatók
A Magyar Közút hamarosan elvégzi a Kocsi út – Táncsics Mihály utca – Környei úti közlekedési lámpa javítását
Aktuális járási állásajánlatok
Áramszünet március 26-án
Tájékoztatás szőlő aranyszínű sárgaság fitoplazma terjedésével, és növény-egészségügyi zárlat tábla kihelyezésével kapcsolatban
Tájékoztatás márciusi lövészetes napokról
Áramszünet március 18-án
Tájékoztató éjszakai munkavégzésről a Budapest–Győr–Hegyeshalom vasútvonalon
Lehet jelentkezni a Környezet- és Természetvédelmi Alap pályázataira
Meghívó Tata Város Önkormányzat Képviselő-testületének ülésére
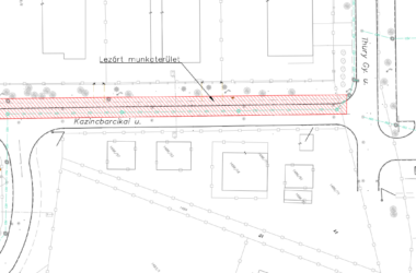
Tájékoztató a Dadi úti csapadékvíz elvezető rendszer felújításáról
Március 1-től megváltoznak egyes helyközi járatok megállóhelyei
MÁV utastájékoztató
Mobilizált ügyfélszolgálat márciusban
MÁV utastájékoztató
Áramszünet március 9-én
Meghívó Tata Város Önkormányzat Képviselő-testületének ülésére
Folytatódik a Fenyő-tér zöldfelületének megújítása